To the new IFR pilot, clearances are hard to master. Mastering Radio calls relaxes the pilot and allows for more brain power to focus on flying & staying ‘ahead of the airplane’. Welcome to the IFR radio call library. First, listen to each call and practice writing and creating your OWN shorthand, then review the meaning behind the clearance.
ANYTIME we want to fly below basic VFR weather conditions we must get a clearance to do so, either a special VFR clearance or an IFR clearance.
IFR clearance permits you to fly a specific route to your destination.
Short hand technique: its important for you to find the short hand techniques that work for YOU. Below, I share what works for me. practice developing your own abbreviations and shortcuts! Practice makes perfect.
| TABLE OF CONTENTS 1.) IFR clearances 2.) Approach Clearances 3.) VFR calls while simulating IFR 4.) Other Radio Calls |
IFR “CRAFT” Clearances
IFR Clearance Example 1 (KEUG->S50)
Image you’re on the ground at Eugene, OR (KEUG). You plan to fly today to Auburn, WA (S50). You prepare a nav-log, obtain weather brief, file an IFR flight plan, then hop in the plane. Before you taxi anywhere, you’ll need to pickup your IFR clearance. It sounds a little something like this. . .
Transcript
“City 3535, Eugene ground, cleared to the S50 airport via Eugene One departure radar vectors to PORTL, then EMZEY, then as filed. Climb and maintain 9,000, departure frequency 119.6 squawk 4750“
Short-hand

Interpretation:
“Cleared to S50 airport” -> your clearance limit is NOT “a fix from which an approach begins” (See lost comm proc’s: 14 CFR 91.185)
“Eugene One departure radar vectors to PORTL” -> Eugene 1 dept. is a radar vector departure, and where are they going to vector you to? PORTL. (knowing you are going to PORTL is important for lost coms).
“then EMZEY, then as filed” -> After portal, proceed direct EMZEY. After Emzey follow the route you filed. This is important to ensure you program your flight plan correctly in your GPS!
Notice: The RED letters are all the pilot needs to readback. Practice READING BACK this clearance OUT LOUD by reading just the red letters!
IFR Clearance Example 2 (KMFR->KCEC)
In this scenario, you’re on the ground at Medford, OR (KMFR). You plan to fly today to Crescent City, CA (KCEC). You prepare a nav-log, obtain weather brief, file an IFR flight plan, then hop in the plane. Before you taxi anywhere, you’ll need to pickup your IFR clearance. It sounds a little something like this. .
Transcript
“Cirrus 7103DR, Roger, Cleared to Crescent City Airport via Jackson One Departure, as filed. Maintain 8,000 departure 124.3 squawk 4747
Short-hand

Interpretation:
“Cleared to KCEC airport” -> your clearance limit is NOT “a fix from which an approach begins” (See lost comm proc’s: 14 CFR 91.185)
“Jackson One departure, [then] as filed” -> This is such a short IFR clearance! We call it abbreviated with ATC just says “as filed”. Its much easier to read this clearance back. When we file routes along IFR PREFERRED ROUTES, atc is much more likely to clear us “as filed”.
Remember: The RED letters are all the pilot needs to readback. Practice READING BACK this clearance OUT LOUD by reading just the red letters!
IFR Clearance Example 3 (KMFR->KPDX)
Now you’re on the ground at Medford, OR (KMFR) Going to Portland, OR (KPDX). Again, You prepare a nav-log, weather brief, IFR flight plan… Your IFR clearance now sounds a little something like this. .
Transcript
“Boeing 2216, Medford ground, Cleared to Portland via Jackson One Departure, as filed. Maintain 11,000 expect flight level 240 within 5 minutes departure 124.3 squawk 4601
Short-hand

Interpretation:
“Maintain one-one-thousand [11,000], expect FL 240 within 5 mins” -> Recall 91.185! In the event of lost comms WITHIN 5 minutes after departure, then climb to expected altitude. If you loose comms AFTER 5 minutes, DISREGARD expected altitude. (expected altitude “expires” after 5 minutes)
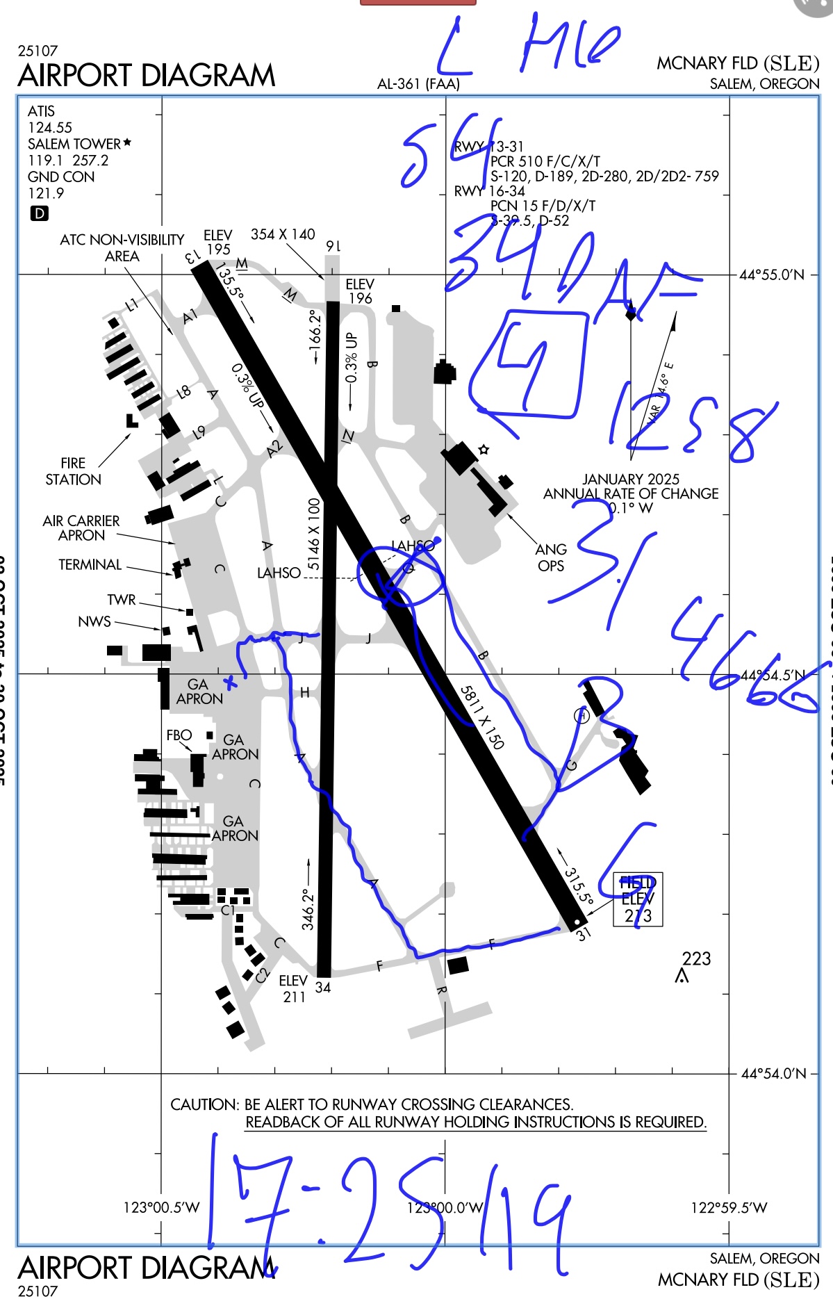
IFR Clearance Example 4 (KSLE->KHIO)
On the ground at Salem, you pick up this IFR Clearance to hillsboro. .
Transcript
“Cessna 614FA, Cleared to Hillsboro Airport, Salem Four Departure heading 340, then as filed. Maintain 4,000 departure frequency will be Seattle center 125.8 squawk 4666
Short-hand

Interpretation:
“Salem Four Departure heading 340” -> The Salem Four Departure is a radar vector departure. It notifies us we will be assigned a heading “between 340 clockwise to 130” (because departing RW 31). Today, ATC has assigned our heading with our IFR clearance, but they may wait and assign your heading WITH your takeoff clearance!
IFR Clearance Example 5 (KOTH->KPSC)
Now you’re on the ground at North Bend, OR (KOTH) Going to Pasco, OR (KPSC). Your IFR clearance now sounds a little something like this. .
Transcript
“0TT, I have everything but the squawk code. You’re cleared to the PSC airport via Direct on departure maintain flight level 230, expect flight level 290 10 minutes after departure, departure frequency Seattle Center on 127.55 and we’ll get you that squawk code on the taxi or at least prior to airborne.”
Short-hand

Interpretation:
“I have everything but the squawk code” -> North Bend Ground is informing you that he is ready to give you the clearance, but will tell you the squawk code later (this is non-standard phraseology: plain english!).
“Via Direct” -> You have not been ASSIGNED a departure. Remember, an ODP does not require a clearance to fly. Looking at the ODP for North bend, it shows essentially just a “turn on course after 800MSL”. When in doubt, you can always ask for confirmation with ATC.
“we’ll get you that squawk code on the taxi or at least prior to airborne.” -> KOTH Ground needs to coordinate the squawk code with center, so they’ll tell you later –before takeoff. In the readback, you can simply say “Cleared Direct Pasco, FL230 expect 290 after 10 minutes, 127.55, and I’ll wait for the squawk“
IFR Clearance Example 6 (KEUG->KEUG)
<!> SPECIAL SCENARIO <!>
You are an IFR student planning to practice instrument aproaches in your local area. You File a flight plan to depart and arrive at the same airport (keug-keug). This is
Transcript
“Warrior 03M, Eugene ground you’re cleared to the Eugene airport via Eugene One departure then as filed maintain 4000 departure frequency 119.6 squawk 4671“
Short-hand

Note:
If you decide to do a full-stop landing at a local airport, you may be assigned a new squawk code. Filing KEUG->KEUG ensures if you loose comms, you wont get stuck at a different airport.
Approach Clearances
To Fly an approach, a clearance is required. When flying under IFR ATC could assign you either:
1.) “Cleared for [approach]” -> This means you are allowed follow LATERAL AND VERTICAL guidance!
OR
2.) “intercept final” -> This means youre only allowed to follow LATERAL guidance!
Communications with Center/Approach remain similar when arriving at a towered vs non-towered airport, but closer to the airport, communications will chance slightly:

In a non-towered environment, Approach will instruct you to change to advisory frequency usually before FAF. Pilot will need to contact ATC while missed or on the ground to cancel IFR.
Note: Often ATC will assign a specific frequency to use when youre on the ground to cancel IFR, so you dont congest busy frequencies.

In a towered environment, Approach will instruct you to contact tower. If going missed, the pilot must first notify Tower, then will be assigned frequency change to departure. Upon landing, the tower will automatically close your IFR flight plan (no need to request them to do it).
Note: Landing clearance is given usually after final aproach fix. You may be told “runway 15, continue” this means you arent cleared to land yet, but do indeed continue the approach.
APRCH CLNC Example 1 (RNAV 17 KCVO)
You Are the pilot of Cessna 11289. You are getting close to your IAF, INNOP. .
Transcript
“Cessna 11289 7 miles–correction– 6 miles from INNOP cross INNOP at 4,000 cleared RNAV Runway 17 Approach Corvallis Airport”
Interpretation
“6 miles from INNOP” – ATC informs you of your position to assist with your situational awareness.
“cross INNOP at 4,000” – You MUST maintain 4,000.
After passing INNOP, you may descend in accordance with the RNAV 17 PROCEDURE because you were also told: “cleared RNAV Runway 17 Approach Corvallis Airport”
Remember: The RED letters are all the pilot needs to readback. Practice READING BACK this clearance OUT LOUD by reading just the red letters!
As you get closer to the airport, ATC will tell you this…
Transcript
“Cessna 11289 one aircraft in the vicinity of Corvallis Airport, uh, change to advisory frequency approved report back to this frequency on the published missed“
Interpretation
“one aircraft in the vicinity of corvallis…” – ATC informs you there might be an aircraft in the traffic pattern! Make sure to make good CTAF calls to coordinate with the traffic.
“Change to advisory frequency…” – Go talk to CTAF.
Best practices when giving CTAF calls while doing IFR procedures:
- use simple language (Student pilot in the traffic pattern doesn’t know what an RNAV is.
- use distances from the airport and pattern legs to clarify intentions EX. “8 mile straight in runway 17” is better than “3 miles from CAYJU RNAV 17” (VFR traffic don’t know what “CAYJU” is or how far out you really are. VFR traffic don’t care weather youre doing ILS, RNAV, VOR aproach, just use simple language like “final” or “straight in”.
“Report back to this frequency on the published missed” When you go missed, come back to this frequency and notify me.
Just like before: the readback is as simple as just repeating the highlighted words!
APRCH CLNC Example 2 (ILS 16R KEUG)
You are the pilot of N107. You are recieving vectors to final for the ILS 16R. .
Transcript
“N107 8 miles from MACTA, Turn left heading 190 maintain 3000 until established on the localizer Cleared ILS 16R Approach“
Interpretation
“8 miles from MACRA” – ATC informs you of your position to assist with your situational awareness.
“Turn Left heading 190… Cleared ILS 16R” – Turn 190 now, but as soon as you’re established on the ILS course, forget your heading and turn to follow the ILS since you are cleared for the approach.
“maintain 3000 until established on the localizer” Maintain 3,000, but as soon as you’re established, descend as published on the approach because you are cleared for the approach.
Remember: The RED letters are all the pilot needs to readback. Practice READING. ATC says a lot in this clearance, but the pilot only needs to read back just a few important elements. Practice listening and breaking down aproach clearances in this way to remain calm and readback with ease.
APRCH CLNC Example 3 (ILS 13R KHIO)
You Are the pilot of Cessna 130JA.
Transcript
“Cessna 130JA 4 miles from uh… COUVE, turn left heading 160 maintain 3,500 until established on the localizer cleared for the ILS runway 13R“
Interpretation
“4 miles from uh… COUVE” – ATC informs you of your position to assist with your situational awareness.
“turn left heading 160… cleared for the ILS runway 13R” – Maintain heading 160, once you’re established, forget the heading and turn to track the LOC because you were cleared for the aproach.
“After passing INNOP, you may descend in accordance with the RNAV 17 PROCEDURE because you were also told: “cleared RNAV Runway 17 Approach Corvallis Airport”
“maintain 3,500 until established on the localizer cleared for the ILS runway 13R” Maintain 3,500ft. Once you’re established, descend as charted on the approach.
Note: Situational awareness will help the pilot to determine, “what altitude do I descend once established?” -> Here ATC has cleared you for the aproach, so you need to follow the plate. ALT to descend depends on where you are on the approach! If unsure of how to identify position on an aproach or how to interpret a plate, pause here and master that before practicing radio calls.
VFR Practice Aproaches
When flying VFR with vfr flight following and PRACTICING an instrument approach, ATC will notify:
1.) Practice aproach aproved + Maintain VFR + No seperation services provided
VFR APRCH CLNC Example 1
Transcript
“Skyhawk 7LA resume own navigation practice approach aproved, maintain VFR, no seperation services provided“
Interpretation
“Resume own navigation” – ATC is telling you; “Navigate however you want, I’m not giving vectors.”
“practice aproach aproved” – ATC informs that you will not interfere with IFR aircraft, so it is aproved for you to simulate this procedure
“maintain VFR” – You’re doing an instrument aproach, but STILL VFR! ATC has no responsability to keep you out of a cloud.
“no seperation services provided” – YOU and your safety pilot are in charge of traffic avoidance, NOT ATC.
NOTE: ATC may say these elements in any order ex, “maintain VFR, practice aproach aprove, no seperation service provided” -> it still means the same thing, just in a different order
NOTE: The RED letters are all the pilot needs to readback. Practice READING. ATC says a lot here aswell, but the pilot only needs to read back what they are assigned.
Other Radio Calls in the IFR world
Here are some miscellaneous radio calls you may experience when flying IFR!
Join Victor Airway
You are Skyhawk N130JA. Upon reaching the end of a SID, you are told. .
Transcript
“Skyhawk 0JA cleared left turn direct ADLOW join Victor 495“
Interpretation
“left turn direct ADLOW” – ATC has assigned you to make a left turn direct ADLOW. First: Acknowlege the assignment. Second: set navigation for direct ADLOW. Third: Make the lef turn.
Note: ADLOW is along your cleared route, and also already in your GPS flight plan “FPL”. Open FPL, hover over ADLOW with the CRSR, and press the DIRECT button. In most GPS units, this will auto-fill the direct-to field with ADLOW.
“join Victor 495” – This is permitting you to continue on course via Victor 495. This is significant for Lost coms. If you were just flying direct between fixes, airway MEA wouldn’t apply to your “AVEF / MEA” descision-making!
PIREP request
You are the pilot of N1TA. Imagine climbing out on an instrument departure.
Transcript
“N1TA say flight conditions for bases”
“We were in it for a little bit right around 2,000 and now we’re out of it for a minute at 3,500”
“Senica 1TA Roger”
Interpretation
“say flight conditions” – ATC is asking for a PIREP. ATC specifies they are interested in cloud bases. This request is common when departing IFR. This is not mandatory, if you’re too busy to reply, you don’t have to.
Notice how the pilot replies with approximate indicated altitudes. Based on this pilots’ report, it sounds like there might be multiple layers “out of it for a minute” sounds like he sees another layer he will enter soon.
ATC often just replies with “roger” or “thanks”
A Tower might ask you something like “Give bases to departure, contact departure good day”
Meaning, contact departure and give them the PIREP if able.
Report IFR Cancellation
Just before instructing you to change to NON-TOWERED “advisory frequency” (CTAF), atc may say this. .
Transcript
“N4930V Report your IFR cancellation in the air on, uh, 126.0 or on the ground on 118.35”
Readback example:
“30V 126.0 in the air, 118.35 on the ground”
Interpretation
ATC needs you to cancel IFR before they can send another aircraft IFR to the non-towered airport you’re landing at.
Different frequencies may be used due to signal coverage.
Once in VMC conditions in the air, the pilot could tune to 126.0 and say “Aproach, 4930V request cancel IFR”
or
After clearing the runway, the pilot could tune. to 118.35 and say “aproach, 6930V on the ground at KXYZ, cancel IFR”
